Ectomycorrhizas: Tuberculate Mycorrhiza

Introduction | Table of Contents | Glossary | Help 

Hosts | Fungi | Morphotypes | Mantle Detail | Tuberculate | Anatomy | Extraradical Mycelium | Sclerotia | Fruit Bodies | Main Menu 

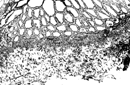
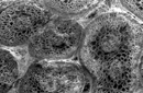
When associated with certain fungal species, several conifers (including some Pinus species, Pseudotsuga, and Tsuga) and angiosperms (Eucalyptus, Quercus, Castanopsis, and others) develop clusters of lateral roots known as tubercles. Each lateral root in the cluster develops a mantle and Hartig net while the entire cluster of roots becomes covered, to a variable degree, by compact layers of hyphae called the peridium or rind. Although these structures are fairly common with some host species and in certain substrates, there is little information concerning their function. Hartig net hyphae and inner mantle hyphae may store polysaccharides and proteins. The suggestion has been made that the rind may protect the enclosed ectomycorrhizas from pathogens and insects. Bacteria that have been isolated from the surface and within the peridium of Pseudotsuga tubercles are able to fix atmospheric nitrogen; however, it is not known whether this nitrogen is utilized by the host.

Pseudotsuga menziesii

Pseudotsuga menziesii

Tuberculate / Pinus

Tuberculate / Pinus

Tuberculate / Pinus

Tuberculate / Pinus

Tuberculate / Pinus

Tuberculate / Pinus

Tuberculate / Pinus

Tuberculate / Pinus

Pseudotsuga menziesii

Pseudotsuga menziesii

Pseudotsuga menziesii

Pseudotsuga menziesii

Pseudotsuga menziesii

Pseudotsuga menziesii

Pseudotsuga menziesii

Pseudotsuga menziesii

Pseudotsuga menziesii

Pseudotsuga menziesii

Pseudotsuga menziesii

Pseudotsuga menziesii

Pseudotsuga menziesii

Pseudotsuga menziesii

Pseudotsuga menziesii

Pseudotsuga menziesii

Pseudotsuga menziesii

Pseudotsuga menziesii

Pseudotsuga menziesii

Pseudotsuga menziesii

Pseudotsuga

Pseudotsuga

Pinus contorta

Pinus contorta

-

-

-

Click on a thumbnail to view a larger image

Previous  |   Next   

Return to Top